Hallo liebe USA- Freunde,
hiermit möchte ich euch allen erst einmal ein gesundes neues Jahr 2018 wünschen. Nach etwas längerer Pause aufgrund der Feiertage geht es jetzt aber im gewohnten Rhythmus weiter mit einer kleinen Bilderflut aus den "Universal Studios" Orlando.
Mittwoch, 06.09.2017
Orlando - Universal’s Island of Adventure
Und wieder stand ein aufregender und langer Tag bevor. „Island of Adventure“, der neuere und „actionlastigere“ der beiden Parks wollte erkundet werden. Unser letzter Besuch in „IoA“ war im Jahr 2000, die Erinnerung daran war also zum großen Teil schon verblasst. Obwohl der gestrige Tag nicht ohne war, wurden wir früh wach. Das Frühstück war relativ schnell „erledigt“ und wir mussten nur noch schnell unsere Morgentoilette hinter uns bringen. Dann waren wir auch schon auf dem Weg in die „Universal Studios Florida“. Wir mussten ja noch den gestern komplett ausgelassenen „The Wizarding World of Harry Potter – Diagon Alley" Themenbereich nachholen.
Ohne große Umwege oder Zwischenstopps gelangten wir in „die Attraktion“ der Universal Studios. Ich hatte ja schon einiges von Universal’s Harry Potter Themenbereich gehört - und es stimmt. Die Detailverliebtheit mit der alles nachgebaut wurde ist schon phänomenal. Wir schlenderte durch die Gassen und bestaunten die Läden und ihre Schaufenster. Das Highlight war dann der 3D Ride „Harry Potter and the Escape from Gringotts“. Auch hier kann ich mich nur wiederholen: Wow - einfach genial !!! Nachdem wir uns irgendwann an allem satt gesehen hatten, ging es nebenan zur „King’s Cross Station“. Hier fuhr der „Hogwarts Express“ ab, der einen zum benachbarten „Island of Adventure“ brachte. Und auch hier kann man nur sagen: Wow !!! Da haben die doch tatsächlich einen kompletten Bahnhof hingeklatscht. Und auch die Fahrt mit dem Zug war einfach nur genial umgesetzt und ein tolles Erlebnis.
„Universal Studios Florida“ - Orlando
„Universal Studios Florida“ - Orlando
„Universal Studios Florida“ - Orlando
„Universal Studios Florida“ - Orlando
„Universal Studios Florida“ - Orlando
„Universal Studios Florida“ - Orlando
„Universal Studios Florida“ - Orlando
„Universal Studios Florida“ - Orlando
„Universal Studios Florida“ - Orlando
„Universal Studios Florida“ - Orlando
„Universal Studios Florida“ - Orlando
„Universal Studios Florida“ - Orlando
„Universal Studios Florida“ - Orlando
„Universal Studios Florida“ - Orlando
„Universal Studios Florida“ - Orlando
„Universal Studios Florida“ - Orlando
„Universal Studios Florida“ - Orlando
„Universal Studios Florida“ - Orlando
„Universal Studios Florida“ - Orlando
„Universal Studios Florida“ - Orlando
„Universal Studios Florida“ - Orlando
„Universal Studios Florida“ - Orlando
„Universal Studios Florida“ - Orlando
„Universal Studios Florida“ - Orlando
„Universal Studios Florida“ - Orlando
„Universal Studios Florida“ - Orlando
„Universal Studios Florida“ - Orlando
„Universal Studios Florida“ - Orlando
„Universal Studios Florida“ - Orlando
„Universal Studios Florida“ - Orlando
„Universal Studios Florida“ - Orlando
„Universal Studios Florida“ - Orlando
„Universal Studios Florida“ - Orlando
„Universal Studios Florida“ - Orlando
„Universal Studios Florida“ - Orlando
„Universal Studios Florida“ - Orlando
„Universal Studios Florida“ - Orlando
„Universal Studios Florida“ - Orlando
„Universal Studios Florida“ - Orlando
„Universal Studios Florida“ - Orlando
„Universal Studios Florida“ - Orlando
Nach kurzer Fahrt waren wir dann auch schon da: „Island of Adventure“ - und auch dieser Park besteht - ebenso wie die Universal Studios - aus acht Themenbereichen.
- The Wizarding World of Harry Potter - Hogsmeade
- Jurassic Park
- Skull Island: Reign of Kong
- Toon Lagoon
- Marvel Super Hero Island
- Port of Entry
- Seuss Landing
- The Lost Continent„Islands of Adventure“ - Orlando
Und da wir mit dem Hogwarts Express fuhren, fingen wir natürlich da an, wo wir zuvor aufgehört hatten: bei Harry Potter:
The Wizarding World of Harry Potter - HogsmeadeIn Hogsmeade angekommen tauchten wir in eine Winter-Wunderlandschaft ein. Alles war mit Schnee bedeckt und das schaute auch durchaus überzeugend aus. Als erstes schauten wir uns bei „Ollivanders“ an, wie für ein kleines Mädchen aus dem Publikum der passende Zauberstab ausgesucht wurde. Und auch auf die Gefahr das ich mich wiederhole: wie alles andere in der Harry Potter Themenwelt war das Ganze einfach nur klasse umgesetzt. Auch der Schauspieler der den Ladenbesitzer „Ollivanders“ spielte war mit vollem Elan dabei. Danach ging es weiter zu „Hogwarts Castle“ Dort befand sich der Thrill- Ride „Harry Potter and the fortbidden Journey“. Und der Wahnsinn steigerte sich noch. Mit Hilfe von Kuka- Robotern, bekannt aus der Automobilindustrie, wurde der Ritt auf einem Zauberbesen simuliert. Nachdem auch dies überstanden war, fuhren Tom und Paul noch den kleinen Coaster „Flight of the Hippogriff“. Gegen den Uhrzeigersinn gingen wir nun weiter zu:
„Islands of Adventure“ - Orlando
„Islands of Adventure“ - Orlando
„Islands of Adventure“ - Orlando
„Islands of Adventure“ - Orlando
„Islands of Adventure“ - Orlando
„Islands of Adventure“ - Orlando
„Islands of Adventure“ - Orlando
„Islands of Adventure“ - Orlando
„Islands of Adventure“ - Orlando
„Islands of Adventure“ - Orlando
„Islands of Adventure“ - Orlando
„Islands of Adventure“ - Orlando
„Islands of Adventure“ - Orlando
„Islands of Adventure“ - Orlando
Jurassic ParkWir begannen mit dem Besuch des „Raptor Encounter’s“. Man konnte zusehen wie im Labor ein Raptoren-Junges aus einem Ei schlüpfte, man konnte Dinoeier mit Hilfe von Scannern untersuchen und es gab Dinosaurier- Skellette zu bewundern. Das Highlight im Jurassic Park ist aber eindeutig das „Jurassic Park River Adventure“. In riesigen Booten fährt man durch den „Jurassic Park“ in dem ein T- Rex ausgebrochen ist. Am Schluß der Fahrt stürzt man dann mitsamt Boot und Rest der Mannschaft 26 Meter in die Tiefe. Durch den Sturz selbst wurden wir nur relativ wenig naß, aber mittlerweile hatte es blöderweise leicht das Regnen angefangen. Ein typischer Florida Regenschauer und da es am Schluß der Fahrt so langsam anfing aus allen Eimern zu kübeln, stellten wir uns für die nächste halbe Stunde im „Gift Shop“ unter. Der lief gegen Ende des Regens Gefahr, selbst abzusaufen, das Wasser stand vor dem Eingangsbereich ca. 10cm hoch. Als letztes besuchten wir dann noch die „Pteranodon Flyers“, ein Ride für kleine Kinder. Trotz mittlerweile wieder schönstem Wetter, mussten wir noch eine viertel Stunde warten, bis die Gewittergefahr vorbei war. Dann konnten die zwei Jungs die 80 Sekunden dauernde Fahrt in luftiger Höhe von ca. 10 Meter Höhe genießen.

„Islands of Adventure“ - Orlando
„Islands of Adventure“ - Orlando
„Islands of Adventure“ - Orlando
„Islands of Adventure“ - Orlando
„Islands of Adventure“ - Orlando
„Islands of Adventure“ - Orlando
„Islands of Adventure“ - Orlando
„Islands of Adventure“ - Orlando
„Islands of Adventure“ - Orlando
„Islands of Adventure“ - Orlando
„Islands of Adventure“ - Orlando
„Islands of Adventure“ - Orlando
„Islands of Adventure“ - Orlando
„Islands of Adventure“ - Orlando
„Islands of Adventure“ - Orlando
Skull Island: Reign of KongSkull Island bestand aus einer einzigen Attraktion: Skull Island: Reign of Kong. Und auch die war perfekt in Szene gesetzt. In einem großen LKW nahm man an einer Expedition auf Skull Island teil. Alles wieder mit ordentlichem Gerüttel und Geschüttel sowie tollen 3D- Effekten.
„Islands of Adventure“ - Orlando
„Islands of Adventure“ - Orlando
„Islands of Adventure“ - Orlando
Toon LagoonDann kamen wir zu „Toon Lagoon“. Und hier passierte mir eine kleine aber feine strategische Fehlentscheidung. Gleich zu Beginn machten wir die „ Dudley Do - Right’s Ripsaw Falls“. Eine nette Fahrt in einem 4er Kanu mit einem Haken: man wir klitschnaß bis auf die Unterhose. Im wahrsten Sinne und ohne Chance auf Entkommen. als die Fahrt vorbei war kletterten wir triefend aus unseren Booten. Birgit warf mit ein paar todbringende Blicke zu und fluchte die nächsten 5 Minuten wie ein Rohrspatz. Aber hey, wir sind in Florida, da gehört etwas Wasser doch irgendwie dazu. „Popeye & Bluto’s Biege Rat Barges“ ließ ich dann aus bekannten Gründen besser links liegen. Auch dies war ein Water- Ride, bei dem es kein Entkommen gab und man unweigerlich bis tief ins Innerste durchnässt wurde. Ich wollte es ja nicht zu weit treiben. Der Rest von „Toon Lagoon“ war dann mehr für die ganz Kleinen und daher ging es weiter zu:
„Islands of Adventure“ - Orlando
„Islands of Adventure“ - Orlando
„Islands of Adventure“ - Orlando
„Islands of Adventure“ - Orlando
„Islands of Adventure“ - Orlando
„Islands of Adventure“ - Orlando
„Islands of Adventure“ - Orlando
„Islands of Adventure“ - Orlando
„Islands of Adventure“ - Orlando
„Islands of Adventure“ - Orlando
„Islands of Adventure“ - Orlando
Marvel Super Hero Islanddem Highlight in den „Island’s of Adventure“. Hier gab es die meisten Thrill- Rides - und auf die war gerade Tom ganz scharf. Wir begannen mit „The Amazing Adventures of Spiderman“, ein 3D Thrill- Ride, der selbst nach fast 20 Jahren noch immer „State of the Art“ ist. Weiter ging es zu „Storm Force Accelatron“, hier wurde man in sich selbst drehenden - ich nenne es mal - Suppenschüsseln wild umher gewirbelt. Dabei verlor Paul unglücklicherweise seinen „Express Pass“, den Tom dann aber beim Aussteigen glücklicherweise irgendwo am Boden des Karussell’s wieder entdeckte. Als nächstes machten Birgit, Tom und ich den „Dr. Dooms Fearfall“, zwei Freifalltüme, bei denen einem im buchstäblichen Sinne das Herz in die Hose rutscht. Kurz aber heftig. Zu guter letzt dann das eigentliche Highlight - der „The Incredible Hulk Coaster“. Ein paar Zahlen zu dem 2016 komplett neu eröffneten ( weil rundum erneuert ) Monster:
Maximale Geschwindigkeit: 108 km/h
Höhe: 34 m
Max. Beschleunigung: 4 g
0 - 64 Km/h: 2 SekundenAuch diesen Coaster fuhren wir ohne Paul, dem das Ganze zu wild war. Wobei selbst Tom im Angesicht des grünen Ungetüms ganz schön ins Zweifeln kam und Anfangs ganz plötzlich die Lust verlor. Nach ein paar Worten guten Zuredens allerdings stiegen dann Birgit, Tom und ich ein. Und Tom war nach der ersten Fahrt so begeistert, dass ich gleich noch einmal mit ihm fahren durfte. Somit hatte Tom mit seinen 11 Jahren den kleinen „Coaster“ Schein bestanden.
„Islands of Adventure“ - Orlando
„Islands of Adventure“ - Orlando
„Islands of Adventure“ - Orlando
„Islands of Adventure“ - Orlando
„Islands of Adventure“ - Orlando
„Islands of Adventure“ - Orlando
„Islands of Adventure“ - Orlando
„Islands of Adventure“ - Orlando
„Islands of Adventure“ - Orlando
„Islands of Adventure“ - Orlando
„Islands of Adventure“ - Orlando
„Islands of Adventure“ - Orlando
„Islands of Adventure“ - Orlando
„Islands of Adventure“ - Orlando
Port of EntryHier gab es nur ein paar Buden zum Futtern, außerdem war dies der neben dem „Hogwarts Express“ der Haupteingang zu „Island of Adventure. Den „Port of Entry“ ließen wir rechts liegen.
„Islands of Adventure“ - Orlando
„Islands of Adventure“ - Orlando
Seuss LandingDa auch dieser Themenbereich mehr für die ganz kleinen unter uns war, machten wir nur zwei Rides. Wir begannen mit „The Cat in the Hat“, einer ruhigen Fahrt durch die Geschichte von Dr. Seuss’s beliebten Kinderbuch. Wir kannten weder Buch noch Dr. Seuss und die Fahrt war auch schon etwas altbacken - Paul gefiel’s trotzdem. Der zweite Ride war dann „The High in the Sky Seuss Trolley Train Ride“. Dies war eine chillige und schöne Fahrt in luftiger Höhe. Man hatte einen tollen Überblick über „Seuss Landing“ und Teile des Parks. Da meine Füsse bereits anfingen mich zu quälen, hätte ich noch mehrere Runden in dem Teil fahren können. Aber es half alles nix, wir mussten weiter zum letzen Themenbereich:
„Islands of Adventure“ - Orlando
„Islands of Adventure“ - Orlando
„Islands of Adventure“ - Orlando
„Islands of Adventure“ - Orlando
„Islands of Adventure“ - Orlando
„Islands of Adventure“ - Orlando
„Islands of Adventure“ - Orlando
The Lost ContinentAuch hier gab es zwei größere Attraktionen, wobei wir „Poseidon’s Fury“ aus Zeitgründen ausfallen ließen. Da wir noch immer leicht naß waren - aufgrund des immer noch bewölkten Himmels trockneten wir nicht ganz so schnell - ersparten wir uns die 25 Minuten Wartezeit bis zur nächsten Show. Vielleicht klappte es ja noch in den nächsten zwei Tagen mit einem Besuch. Und auch das zweite Highlight konnten wir nur zum Teil anschauen: die für heute letzte Stundshow von „The Eighth Voyage of Sindbad“ hatte bereits um 16:00Uhr begonnen, mittlerweile war es 16:15Uhr. Trotzdem konnten wir noch rein und es uns am linken Rand der großen Tribüne bequem machen. Die schön gemachte Show mit Special Effects dauerte noch ca. 15 weitere Minuten, dann waren wir auch mit „The Lost Continent“ durch.
„Islands of Adventure“ - Orlando
„Islands of Adventure“ - Orlando
„Islands of Adventure“ - Orlando
„Islands of Adventure“ - Orlando
„Islands of Adventure“ - Orlando
Ein paar Meter weiter kamen wir dann wieder bei „The Wizarding World of Harry Potter - Hogsmeade“ an. Wir bestiegen den „Hogwarts Express“ und fuhren zurück zu den „Universal Studios“. Dort wollten Tom und Paul noch einmal einige Highlights der beiden vergangenen Tage machen. Also fuhren wir auch hier noch einmal einen Teil der besten Rides, angefangen von „Harry Potter and the Escape from Gringotts“, „Revenge of the Mummy“, dem „Hollywood Rip Ride Rockit“, „Shrek 4-D“ und zu guter letzt: „Despicable Me Minion Mayhem“. Paul kaufte sich im angeschlossenen Minions- Souvenirshop von seinem Urlaubsgeld noch eine schöne Kakaotasse. Danach war Schluß, Birgit und ich waren klinisch tot - die beiden Jungs hingegen noch in erstaunlich guter Verfassung. Aber nun war es endgültig genug für heute. Birgit und ich beschlossen zurück ins Hotel zu gehen. Dort gab es wieder eine Kleinigkeit zu essen und allzu viel Kalorienzufuhr hatten wir heute ja noch nicht.
„Universal Studios Florida“ - Orlando
„Universal Studios Florida“ - Orlando
„Universal Studios Florida“ - Orlando
„Universal Studios Florida“ - Orlando
„Universal Studios Florida“ - Orlando
„Universal Studios Florida“ - Orlando
„Universal Studios Florida“ - Orlando
„Universal Studios Florida“ - Orlando
„Universal Studios Florida“ - Orlando
„Universal Studios Florida“ - Orlando
„Universal Studios Florida“ - Orlando
„Universal Studios Florida“ - Orlando
„Universal Studios Florida“ - Orlando
„Universal Studios Florida“ - Orlando
„Universal CityWalk“ - Orlando
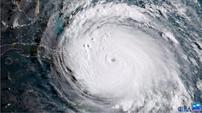
Im Hotel angekommen brachten wir nur kurz unsere sieben Sachen ins Zimmer und gingen dann gleich in die Lounge. Dort gab es leckere „Chicken Wings“ mit verschiedenen Dip- Saucen, irgendwelche Tortillia- rollen sowie ganz leckeren Tomaten / Mozzarella Salat mit kiloweise Knoblauch. Der Gestank würde sich vermutlich bis zu unserem hoffentlich am Sonntag stattfindenden Rückflug nach Deutschland halten. So langsam machte ich mir doch leichte Sorgen, seit Tagen war Hurrikan Irma Dauerthema auf sämtlichen Kanälen. Eigentlich ist Orlando da ja immer ziemlich auf der sicheren Seite, aber Irma schien sämtliche Rekorde zu brechen und steuerte direkt auf Florida zu. Und da wir ja ziemlich knapp gebucht hatten (die Schule begann Dienstag, wir kamen Montag zurück) und ich außerdem keine Lust auf irgendwelche Zusatzkosten hatte, wurde es nun doch langsam spannend.
Nach dem Abendessen, der geplante Besuch im „Hard Rock Café“ fiel aufgrund des Veto’s unserer Kinder auch heute aus, gingen Tom und Paul in den Pool. Birgit und ich ruhten uns noch etwas aus und genossen dann eine Runde im Whirlpool. Um kurz vor 21:00Uhr gingen Birgit und ich dann wieder auf’s Zimmer und holten uns und den Kindern in der Lounge einen leckeren Nachtisch, bestehend aus verschiedensten Cup- Cakes und leckeren Cookies. Die Kinder kamen ein paar Minuten später nach. Um 21:30Uhr wurde der Tag dann offiziell für beendet erklärt. Irgendwann haben ja auch Eltern mal Feierabend. Morgen würden wir noch einmal das eine oder andere Highlight der vergangenen beiden Tage ein zweites Mal besuchen.